|
Plongée en Polynésie...
Photos de Mr Chazot
Pour l'identification des poissons, je vous
conseille fortement l'achat de ce livre dédié uniquement aux
poissons des eaux polynésienne :



Ici, une raie pastenague, on trouve aussi des raies 'marbrés',
des raies 'Léopard' et des raies 'Manta' dans les eaux
polynésienne...

On peut remarquer nettement la surabondance de poissons
papillons...notamment les Chaetodons ulietensis...



Ici on aperçoit un baliste,(pseudobalistes flagimarginatus) un
Ostracion cubicus, un Aulostomus chinensis et une petite
demoiselle bleu !(Pomacentrus pavo)

Ici un Arothron hispidus, toujours solitaire...




no comment...


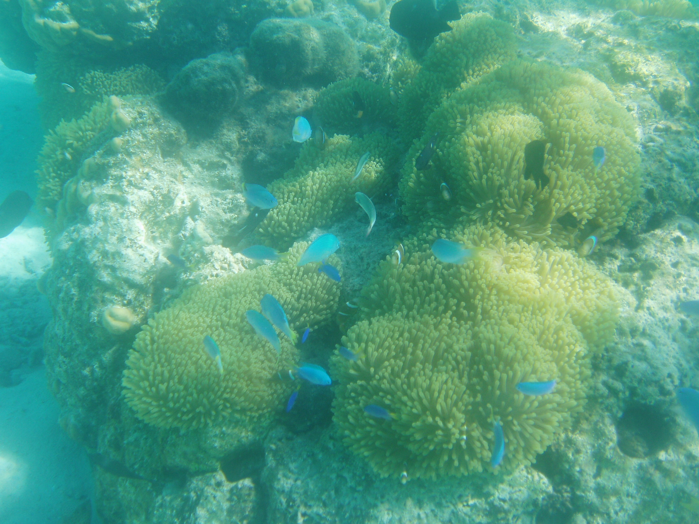
Notez la quantité de Chromis sur le massif de Pocillopora !

Ici un superbe Zebrasoma veliferum...accompagné de son petit
labre nettoyeur, le Labroides dimidiatus.
RETOUR
|